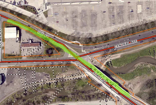
COLUMBUS, Ind. – Beginning at 5:30 a.m. on Thursday, the far left lane of 3rd Street will be closed as Columbus City Utilities continues to work on the water main break according to the Columbus Engineering Department.
In addition, the far right lane of State Street will be closed as well. Drivers are urged to find alternate routes as delays are expected.






